
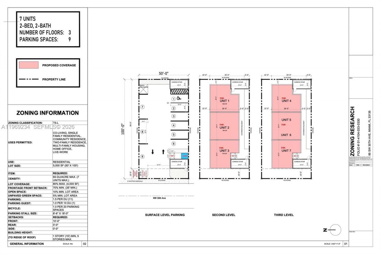
Amazing developer opportunity, 5,000 SQFT LOT, Zoned T5-L with no abutting T3 lots. The preliminary site plan shows 7 units by right with parking. 2/1 plus efficiency Single-family home on site , brand new roof. Can generate cash flow while getting approvals.
Courtesy of
Agency Name: Onyx Real Estate Group Inc.
Agency Phone: 305-220-1808
Agent Name: Ileana Martinez
Presented by
Agent Name: Patricia Valdivieso
Agent Phone: 305.803.0098
Agency Title: The Keyes Company
Request Info
Send an email with a link to
85 SW 30th Ave, Miami, FL 33135.
Email 85 SW 30th Ave, Miami, FL 33135
Thank you for your inquiry! As a thank you, we have a Special Mortgage Offer for You.
We would like to provide you a free, no-obligation, home loan pre-approval review.